
地块位置示意图
甬派客户端记者 鲍志良
亨润东北侧地块——“鄞州区YZ07-04-b2-B地块”,今天挂牌,定于12月15日9:00拍卖。
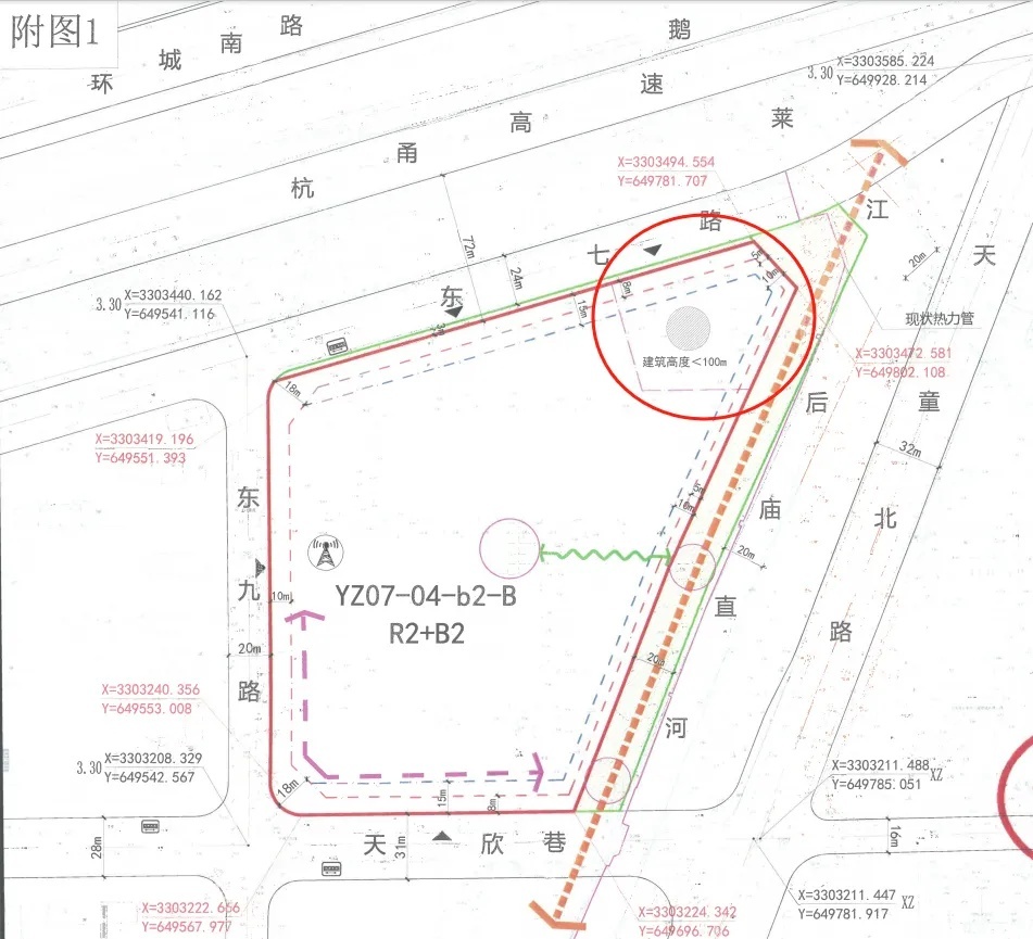
地块具体四至范围,东至后庙直河沿河绿化,南至天欣巷,西至东九路,北至东七路。
该地块西侧,是尾房状态的伟星·星润名著园,新交付不久的绿城·凤鸣云翠府;再往西,是今年6月初开工,计划2027年年中竣工的“宋小+宋中”的九年一贯制学校。
地块东面,是和邦大厦、地铁3号线锦寓路站;再往东约1.5公里,是印象城、宝龙广场、万象汇等组成的钱湖商圈;往南约1.5公里,是鄞州万达广场。
这是一宗商住混合用地,也是高品质住区试点地块,用地面积46036平方米,整体最高容积率1.6。
根据规划条件和高品质住区监管协议,其中住宅计容建筑面积不超过计容总建筑面积的80%,即约5.9万平方米,全部为设空中绿化平台的“四代宅”,住宅楼高不低于18米、不高于60米,且适用地下空间利用新规,可设置地下储藏室、增配配套服务设施等。
地块东北角建写字楼,高度不超过100米——如竞得人同意,可销售给鄞州区人民政府推荐单位,商务办公用房参考销售价格8000元/平方米、地下非人防停车位参考销售价格5万元/个。
此外,根据规划条件,地块配套商业计容建筑面积不小于3500平方米,且不超过3600平方米。

上图中红圈位置即办公楼建设位置
该地块出让起始总价100879.98万元,折合起始楼面价约13696元/平方米。其中,住宅部分用地面积不大于41600平方米,起始总价94847.42万元,折合起始楼面价为16096元/平方米。

地块现状图
地块西侧的凤鸣云翠府、星润名著园,均于2022年9月底拿地。
其中,凤鸣云翠府,容积率2.7,当时成交楼面价22361元/㎡,住宅备案均价37300元/㎡(据宁波市房产交易信息服务网数据,不含精装修,下同)。星润名著园,容积率2.6,成交楼面价21844元/㎡,住宅备案均价36400元/㎡,截至发稿,已售住宅740套,可售房源只剩12套。
往东,鄞州印象城北,有宁波楼市上半年卖得最火的新盘之一,江山万里·玖曜,地块成交时间2024年6月28日,容积率2.2,楼面价28600元/平方米,住宅参考均价53800元/㎡;目前已售住宅308套,剩余可售住宅30套。
在玖曜之后,原鄞州中心区范围内再无新地推出,目前区域内在售楼盘寥寥,且都已是尾盘状态。除了上述星润名著园、玖曜外,像万科的观澜映象府只剩7套住宅可售,其隔壁的中海玖尚府更是已一套不剩。
可以说,作为宁波楼市最热门板块之一的鄞州中心城区,目前新盘已几近断供。
编辑: 陈奉凤纠错:171964650@qq.com
中国宁波网手机版
微信公众号


















